Pollinator Post 9/24/23

What a relief to have clean air again! I am thrilled to be back at Skyline Gardens on a cool, fall day.

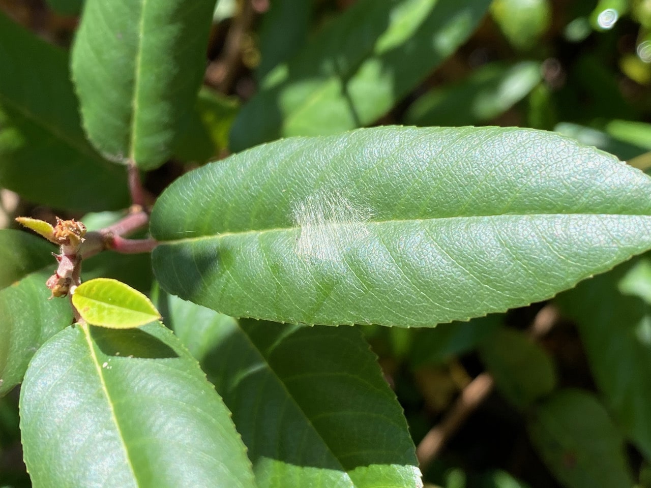
Sadly, Bumps, our Pale Swallowtail caterpillar is no longer on its Coffeeberry leaf. Its silk pad on the home leaf is still there, and it hasn’t been enlarged much since I last saw the caterpillar on 9/18. Bumps has probably been taken by a predator.

Something catches my eye on a leaf of an adjacent branch. It has the same coloring and shape as Bumps, but on close examination, turns out be be a real bird poop.

Then something else that resembles bird poop gets my attention. It is on a leaf of an adjacent, smaller Coffeeberry shrub, surrounded by Poison Oak. I recognize this one as a young instar of a Pale Swallowtail caterpillar right away, from the eagle-shaped white marking across its mid section.

The caterpillar appears slightly smaller than Bumps when it was last seen. I’ll call it B2. Wow, what luck!

Then I find a leaf on a different branch only 5 inches from B2 that bears the tell-tale silk pad on the upper surface.

Then yet another… These silk pads are probably made by Pale Swallowtail caterpillars just like B2, probably B2’s siblings that didn’t survive. They are all within 6 inches of each other. Mama butterfly has wisely spaced out her eggs on different branches, so the larvae that hatch out wouldn’t have to compete for food. I recall the same situation with Blue and Cinch’s home leaves. Apparently, very few of the caterpillars make it to adulthood. We were very fortunate to have observed Blue through its prepupa stage, before it left the host plant to pupate.

Ooh, I know this fly! Given its minute size, it has to be a Leaf-miner Fly in the family Agromyzidae.
The Agromyzidae are a family commonly referred to as the Leaf-miner Flies, for the feeding habits of their larvae, most of which are leaf miners on various plants. They are small flies, most species in the range of 2-3 mm. Agromyzidae larvae are phytophagous, feeding as leaf miners, less frequently as stem miners or stem borers. A few live on developing seeds, or produce galls. There is a high degree of host specificity. A number of species attack plants of agricultural or ornamental value, so are considered pests. The shape of the mine is often characteristic of the species and therefore useful for identification. Adults occur in a variety of habitats, depending on the larval host plants.

A Hirsute Paradise Spider, Habronattus hirsutus (family Salticidae) is navigating the stem of a California Bay.
Salticids or Jumping Spiders are free-roaming hunting spiders. They do not weave a web to catch prey. They stalk, then pounce on their prey. Just before jumping, the spider fastens a safety line to the substrate. It can leap 10-20 times their body length to capture prey. Their movement is achieved by rapid changes in hydraulic pressure of the blood. Muscular contractions force fluids into the hind legs, which cause them to extend extremely quickly.

An Outer Barklouse in the family Ectopsocidae (order Psocodea, formerly Psocoptera) pauses at the tip of a California Bay leaf before lifting off.
The scientific name comes from the Greek psocus (to grind) and refers to the psocopteran jaws, which are shaped to grind food, rather like a pestle and mortar. These insects are conveniently discussed in two groups – barklice that live outdoors, and booklice that are found in human habitations.
Barklice are usually found in moist places, such as leaf litter, under stones, on vegetation or under tree bark. They have long antennae, broad heads and bulging eyes. They feed on algae, lichens, fungi and various plant matter, such as pollen. Barklice are usually less than 6 mm, and the adults are often winged. The wings are held roof-like over their bodies. Some species are gregarious, living in small colonies beneath a gossamer blanket spun with silk from labial glands in their mouth. Sometimes the colonies seem to move in coordinated fashion, rather like sheep.
Booklice are wingless and are much smaller (less than 2 mm). They are commonly found in human dwellings, feeding on stored grain, book bindings, wallpaper paste and other starchy products, and on the minute traces of mold found in old books.
Psocodea undergo incomplete metamorphosis. They are regarded as the most primitive amongst the hemipteroids (true bugs, the thrips and lice) because their mouthpart show the least modification from those of the earliest known fossils.
The family Ectopsocidae includes fewer than 200 species, most of them in the genus Ectopsocus. They are found to inhabit dead leaves on tree branches and leaf litter. They are brown, small-sized barklice, 1.5-2.5 mm in length. Forewings are short, broad, and held in horizontal position (rather than tent-like as in other psocids).

A small Orb Weaver Spider (family Araneidae) is resting upside-down beneath the center of its web that stretches across the width of a California Bay leaf. Does it trap insects above or below the web? Both? What an interesting niche!
Orb-weaver spiders are members of the spider family Araneidae. They are the most common group of builders of spiral wheel-shaped webs often found in gardens, fields and forests. Araneid webs are constructed in a stereotypical fashion, where a framework of nonsticky silk is built up before the spider adds a final spiral of silk covered in sticky droplets. Generally, orb-weaving spiders are three-clawed builders of flat webs with sticky spiral capture silk. The third claw is used to walk on the nonsticky part of the web. Characteristically, the prey insect that blunders into the sticky lines is stunned by a quick bite, and then wrapped in silk for later consumption. Many orb-weavers build a new web each day. The spider consumes the old web to recycle the proteins.

Sadly, our Two-tubercled Spider is no longer on her usual retreat on the dried oak leaf that she has attached to a seed capsule of Soap Plant. I have wondered if she would be able to produce another clutch of eggs, given the dearth of insects available this time of year. I search the whole plant for her, but she’s nowhere to be found. The usual orb web is absent beneath the retreat, just a debris laden drag line. I miss her already.

A Yellow-faced Bumble Bee, Bombus vosnesenskii is taking nectar from the small flowers of the Wood Calamint, Clinopodium menthifolium.

A Planthopper, Neaethus sp.(family Tropiduchidae) is resting on the edge of a California Bay leaf. A member of the order Hemiptera, it has piercing-sucking mouthparts to extract sap from plants.
Members of the genus Neaethus are distinguished by their broadly rounded transparent to translucent wings, with prominent veins. Most are associated with oak species. Neaethus has a limited distribution, and are mostly found in California and Arizona.

The Planthoppers have the first mechanical gear system ever observed in nature. The tiny bug uses mechanical gears on its joints to precisely synchronize the kicks of its hind legs as it jumps forward.
Planthoppers may be small, but they attract mates from afar by sending vibrational calls along plant stems and leaves using fast, rhythmic motions of their abdomen.

Ooh, here’s an F-winged Barklouse, Graphopsocus cruciatus (order Psocoptera, family Stenopsocidae). The species is introduced to the West from Asia or Europe in 1930. The insect has five dark marks on the first half of the wing and a light “F” mark on the second half.

Remember this picture from 9/9/23? A leaf of a California Bay has been folded cross-wised and bound together with silk. I have suspected it’s the work of a spider, given the white guanine (spider waste) on the leaf below. I did not open it up then thinking it might hold a viable spider egg case.

Today I check the same folded leaf, and notice that most of the fluffy silk inside seems to have disappeared. I lightly pull the folded structure apart. There’s a spider inside, but no sign of any egg case. Maybe the eggs have hatched, and the spiderlings have left?

A beautiful female spider with very thin legs and globular abdomen with red markings. Is this mama who has been guarding the eggs and then the spiderlings?

The spider has been identified by iNaturalist as a Cobweb Spider, Theridion varians (family Theridiidae).
Cobweb Spiders (family Theridiidae) spin sticky capture silk, and they have a comb of serrated bristles (setae) on the tarsus of the fourth leg. They often build tangle space (3-D) webs, hence their other common name of Tangle-web Spiders. Theridiidae has a large diversity of spider web forms.
The species Theridion varians is found in North America, Europe, North Africa, Turkey, Caucasus, Central Asia and China. It is a small spider (2.5-4 mm) that builds a small tangled web amongst foliage. Coloration and markings are extremely variable in this species, hence the name varians.

The spider finally comes out onto the leaf. What a beauty! Did she fold the leaf to create a shelter for her egg case, or a molting retreat for herself?
