Pollinator Post 8/8/23 (2)


When I arrive at the Coffeeberry bush near Bypass Trail I find to my delight that both the Pale Swallowtail caterpillars are safe on their respective home leaf. Both are now blue and much harder to find among the foliage. It pains me to see that Cinch (I have come to name this caterpillar) still has that band of old skin constricting it. Now that it has grown a little, the constriction seems even more severe.
Cinch begins to put its head down, first left, then right, as if to lay down more silk on the leaf.

Much to my delight, Cinch is able to crawl despite its handicap.

Blue, the other caterpillar looks good and healthy on its own leaf.

I watch as Blue backs up imperceptibly to the edge of its home leaf…

… and defecates over the edge of the leaf! What an adorable behavior, and practical too. By dropping its frass far away from itself and its home, the caterpillar is not giving away scent cues to predators and parasitoids.

When I look for Cinch again, it has moved to the stalk of its home leaf, ready to crawl down the stem.

Descending with ease, Cinch makes its way to a leaf further down the stem, riddled with feeding scars. Hah, this must be where Cinch feeds!

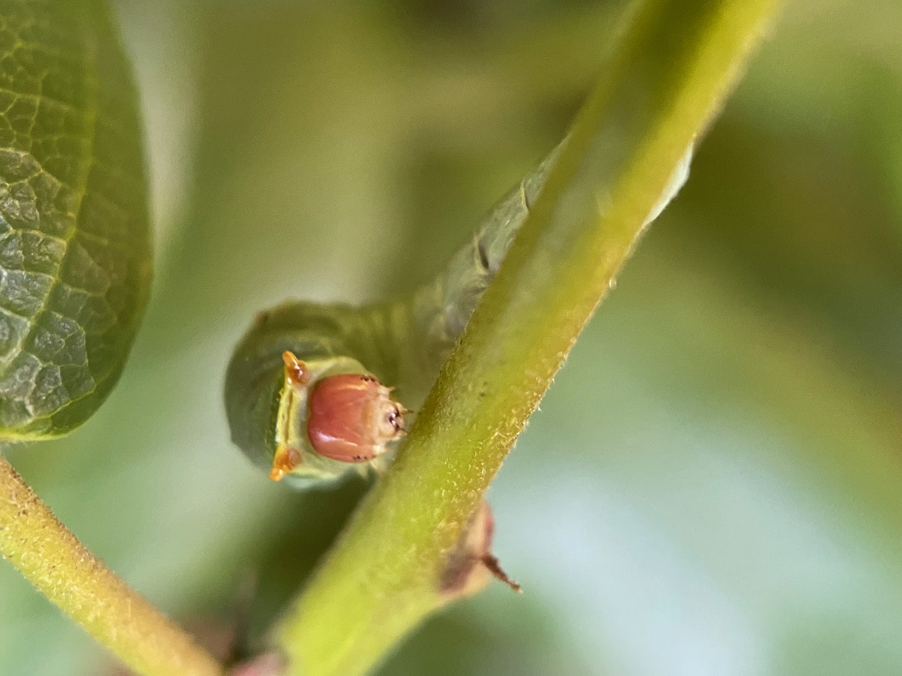
Cinch pauses to investigate a hole in the leaf, giving me a good look at its red head.

Following a faint trail of silk, Cinch makes its way along the edge of the chewed leaf.
Cinch begins to put its head down, first left, then right, as if to lay down more silk on the leaf.


Cinch investigates the edge of the chewed leaf. I think this is where it will be feeding.

Half an hour later I return to the Coffeeberry to find Blue missing from its home leaf. It is making its way down the stem.

Blue’s head is not as red as Cinch’s.

The scoli on its broad thorax are beginning to resemble false eyes.

Blue crawls onto a leaf lower down the stem. This must be where it will feed – it already bears feeding scars on the edges!

Near the chewed edge of the leaf, Blue begins to lay down silk, moving its head left and right and touching the leaf here and there.


See the silk threads laid by Blue at the edge of the chewed leaf? They probably serve to anchor the caterpillar as it feeds.

Meanwhile, Cinch is back on its home leaf, resting on its silk pad. Such adorable behavior!
Just as Alan, the Lepidoptera expert has told me, Pale Swallowtail caterpillars do not feed on their home leaf. They move to other leaves to feed, but always return to their home leaf to rest. When attacked by herbivores, plants typically emit volatile compounds into the air that summon predators and parasitoids to the site. By spending less time where they feed, the caterpillars minimize the likelihood of being found. Simple but clever survival strategies!
