Pollinator Post 6/25/25

Seeking relief from the afternoon heat, I take my walk in the cool shade of Leona Canyon Regional Open Space Preserve in the Oakland hills.


A Metallic Sweat Bee, Lasioglossum (Dialictus) sp. (family Halictidae) is foraging on an umbel of Poison Hemlock flowers.
Lasioglossum species are found worldwide, and they constitute the largest bee genus. The subgenus Dialictus are the most likely to be seen in the U.S., with over 300 species of these tiny metallic bees. The majority of Lasioglossum are generalists. Because they are so abundant throughout the flowering season, the bees are often important pollinators. Their sheer numbers are enough to achieve excellent pollination of many wild flowers, especially of plants in the Asteraceae, which have shallow floral tubes that are easily accessed by these minute bees.
Lasioglossum are closely related to the genera Halictus and Agapostemon. These genera are commonly called “sweat bees” because of their attraction to human sweat, which they drink for its salt content. Lasioglossum are dusky black to brown slender bees with bands of hair on their abdomen. Female Sweat Bees (family Halictidae) carry pollen in the scopae on their entire hind legs and underside of their abdomen.
Lasioglossum exhibit a range of social behaviors; the genus includes solitary, communal, semi social, primitively eusocial, and even parasitic species. Almost all Lasioglossum in the U.S. nest in the ground. Generally these nests are built in the spring by fertilized females (called foundresses) that spent the winter in hibernation. In social species, the foundresses behave much like the queen bumble bees – they lay the first batch of eggs that develop into the first generation of female workers. The nest grows with each additional generation of bees. Later broods may consist of both males and females. They mate, and at the end of the season the fertilized females hibernate til the following spring, repeating the life cycle of the colony.
Dialictus is a subgenus of sweat bees belonging to the genus Lasioglossum. Most of the members of this subgenus have a metallic appearance. They are commonly found in the Northern Hemisphere and are found in abundance in North America. Like other members of Lasioglossum, this subgenus has very diverse forms of social structure making them model organisms for studying the social behavior of bees.

A tiny Malachite Beetle (subfamily Malachiinae, family Melyridae) is foraging on an umbel of Poison Hemlock flowers.
The Malachite Beetle (subfamily Malachiinae) is a member of the family of Soft-winged Flower Beetles (family Melyridae). Most Melyrids are elongate-oval, soft-bodied beetles 10 mm or less in length. Members of the subfamily Malachiinae have peculiar orange structures along the sides of the abdomen which can be everted, but usually kept hidden. Most adults and larvae are predaceous. Omnivorous adult Melyrids are often found on flowers out in the open, where they feed on pollen, insect eggs, and flower-loving insects that land within their grasp. The larvae generally stay concealed under tree bark or leaf litter or soil, where they prey on other invertebrates.

A small, black, bristly fly is perched on the flowers of Poison Hemlock. It is a Woodlouse Fly, Stevenia deceptoria (family Rhinophoridae).
The Woodlouse Flies (family Rhinophoridae) are somewhat related to the Tachinidae. The larvae are mostly parasitoids of woodlice (pill bugs), beetles, spiders and other arthropods, and occasionally snails. Adult female deposits the eggs near woodlice. The first instar larva attaches itself to a passing woodlouse and enters the body of the freshly molted host. The larva feeds on the hemolymph and organs of the host until pupation, leading to the death of the host. Adult fly emerges from the pupa from inside the empty exoskeleton of the host. Adult Woodlouse Flies primarily feed on nectar and plant juices.

A Masked Bee, Hylaeus sp. (family Colletidae) is foraging on a flower of Wild Mustard.
Hylaeus (family Colletidae) are shiny, slender, hairless, and superficially wasp-like bees. They are small, 5 to 7 mm long, usually black with bright yellow or white markings on their face and legs. These markings are more pronounced on the males. Hylaeus do not carry pollen and nectar externally, they instead store their food in the crop and regurgitate it upon returning to their nests. They are primarily generalist foragers. Hylaeus are short-tongued, but their small body size enables them to access deep flowers. Hylaeus nest in stems and twigs, lining their brood cells with self-secreted cellophane-like material. They lack strong mandibles and other adaptations for digging, using instead pre-existing cavities made by other insects.

A Metallic Sweat Bee, Lasioglossum (Dialictus) sp. (family Halictidae) is reaching down to access nectar of a Wild Mustard flower. Note that the female has pollen on the scopae of her hind legs as well as on the underside of her abdomen.

A Tripartite Sweat Bee, Halictus tripartitus (family Halictidae) is collecting pollen from the anthers of a California Poppy flower. Poppy flowers do not produce nectar, but offer copious amounts of pollen to their pollinators.
Halictus is found worldwide; they are most common in the Northern Hemisphere. All are generalists, foraging from a wide variety of flowering plants. Many species are social and produce several generations per year. This is not surprising as most blooming plants are season-specific; a bee that requires pollen and nectar across multiple seasons would not thrive as a specialist. All Halictus in North America nest in the ground, often in aggregations; and they may nest in the same area for decades.

A Small Carpenter Bee, Ceratina sp. (family Apidae) is foraging on a Wild Mustard flower.

The Small Carpenter Bee genus Ceratina is closely related to the more familiar, and much larger Carpenter Bees (genus Xylocopa). Ceratina are typically dark, shiny, even metallic bees, with fairly sparse body hairs and a weak scopa on the hind leg. The shield-shaped abdomen comes to a point at the tip. Some species have yellow markings, often on the face.
Females excavate nests with their mandibles in the pith of broken or burned plant twigs and stems. While many species are solitary, a number are subsocial. Both male and female carpenter bees overwinter as adults within their old nest tunnels, emerging in the spring to mate. In the spring, this resting place (hibernaculum) is modified into a brood nest by further excavation. The female collects pollen and nectar, places this mixture (called bee bread) inside the cavity, lays an egg on the provision, and then caps off the cell with chewed plant material. Several cells are constructed end to end in each plant stem.


A large, dusky Bee Fly lands on an umbel of flowers of Poison Hemlock. Disappointingly, iNaturalist was only able to identify it to the genus Villa (family Bombyliidae).

This is possibly the largest Villa species I have ever seen!

The Bee Flies belong to the family Bombyliidae. Adults generally visit flowers for nectar and pollen, some being important pollinators. Larvae generally are parasitoids of other insects. When at rest, many species of bee flies hold their wings at a characteristic “swept back” angle. The adult females usually deposit eggs in the vicinity of possible hosts, quite often in the burrows of beetles or ground-nesting bees/wasps. Bombyliidae parasitism is not host-specific, but rather opportunistic, using a variety of hosts. Adult females of the genus Villa lay eggs in mid-air and flick them towards the nest entrances of their hosts. They typically have an eversible pouch near the tip of their abdomen known as a sand chamber, which is filled with sand grains gathered before egg laying. These sand grains are used to coat each egg just before their aerial release, presumably to improve the female’s aim by adding weight.



A handsome fly with distinctive markings on its thorax is perched on the railing of a wooden fence. iNaturalist has helped identify it as a Root-maggot Fly, Anthomyia sp. (family Anthomyiidae).
Members of the family Anthomyiidae are commonly called Root-maggot Flies. They are small to medium-size flies that resemble house flies but are somewhat more slender. They are usually dull gray or black and silver in color. The larvae typically feed in stems and roots of plants. Many are considered crop pests, and may attack root crops such as onions or rutabagas. Other species may feed on decaying matter, on feces, or are predators of other insects. Adult flies are important pollinators, usually feeding on nectar and pollen.

A Prong-faced Slender-Mason, Protosmia rubifloris (family Megachilidae) is perched on some small weedy vegetation on the undergrowth.
Protosmia are finely punctured, black bees with white hair on the thorax that range in body length from 3.5-9.5 mm. The bees are most often seen flying in the spring. The females of the only North American species, P. rubifloris, are easily recognizable by their distinct spatula-like process projecting out from the clypeus. Protosmia rubifloris is considered a generalist but might specialize on Salvia. P. rubifloris is presumed to nest in preexisting cavities in wood and has been found nesting in pinecones. They do not line the cells, but rather form cell partitions of resin sometimes integrating and empty interstitial cell between brood cells. Nests are plugged after construction with resin with the occasional addition of small gravel bits. Like other members of the family Megachilidae, female P. rubifloris carry pollen on the scopa on the underside of their abdomen.

This Cluster Fly, Pollenia sp. (family Polleniidae) has lost most of the golden hairs on its thorax, but is still easily recognizable from its size, stocky build and shiny checkered silvery abdomen.
Called the Common Cluster Fly, Pollenia rudis (family Polleniidae) is slightly larger than house flies. It is dull gray with checkered black and silvery-black abdomens. A newly emerged fly has many golden hairs on its thorax which may be lost throughout the life of the fly. The common name comes from the tendency of the flies to aggregate near windows when they are trapped in human dwellings. The immature stages – eggs and larvae – are seldom seen because they are deposited on the soil where they burrow into earthworms which they parasitize. The Cluster Fly is a European species. They may have found their way to America in the ballast of ships containing soil, probably along with introduced earthworms.

A tiny Inchworm (family Geometridae) is thrashing about on its rear atop a wooden fence post. The caterpillar must have fallen from the tree above and is desperately trying to get back to some vegetation.
Inchworms are also called loopers and measuring worms. The majority of the inchworms are the larvae of moths in the family Geometridae. The name comes from the Greek “geo” for earth and “metro” from measure, because the caterpillars seem to be measuring the surface on which they are walking.

Note the three pairs of true legs behind the caterpillar’s head. It is holding on to the substrate with its anal prolegs. Between the true legs and the anal proleg, there are no prolegs as in other caterpillars. This anatomy forces the inchworm to adopt a looping locomotion.
All caterpillars have three pairs of jointed legs behind their heads. These legs are called true legs because they will become the six legs of the adult butterfly or moth. There are additional appendages, called prolegs, along their bodies. Prolegs are not true legs, they are just outgrowths of the body wall and will be lost at metamorphosis. They have little hooks on their soles to help the caterpillar walk and grip onto things.
Most caterpillars have five sets of prolegs, four in the middle of the body and one pair at the hind end. Inchworms have the normal six true legs but only two or three pairs of prolegs, all located at the tail end of the body, with none in the middle. When an inchworm walks, it moves its tail-end prolegs up behind its true legs, causing the center of its body to loop upward. Then it stretches its front end forward to take another step.

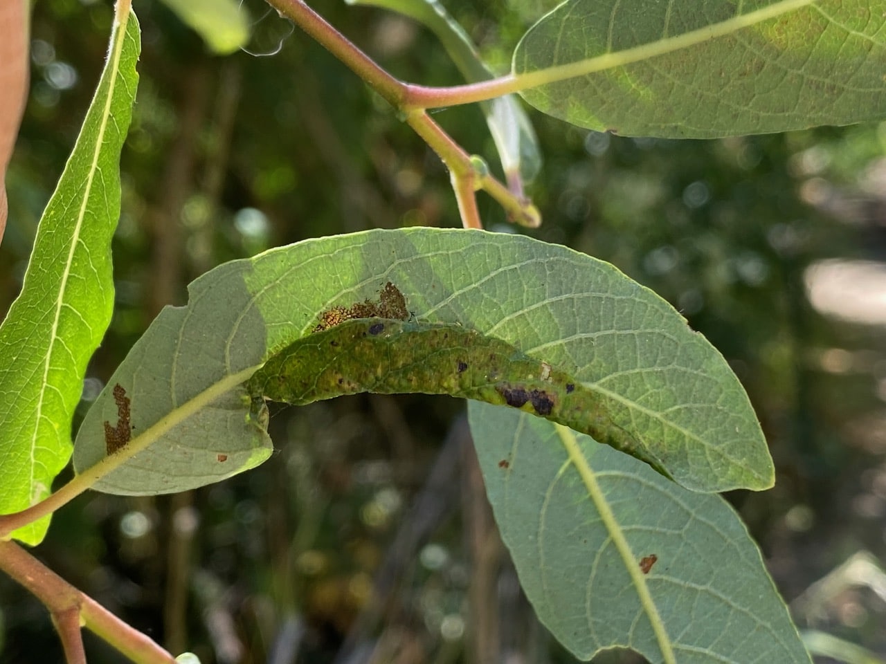
There are several of the usual galls on the leaves of this Arroyo Willow, Salix lasiolepis, but what caught my attention is this leaf that has been neatly folded downward along one edge. There appears to be bruises/feeding scars around the area. Did a caterpillar do this? Many small moths have caterpillars that fold or tie leaves of their host plants to form shelters within which they can feed in safety from predators and parasites.

Further up, another similarly folded leaf is being given a thorough look over by a Yellowjacket wasp. Maybe there is a caterpillar inside?

Yellowjacket is the common name for predatory social wasps of the genera Vespula and Dolicovespula (family Vespidae). Yellowjackets are social hunters living in colonies containing workers, queens, and males (drones). Colonies are annual with only inseminated queens overwintering. Queens emerge during the warm days of late spring or early summer, select a nest site, and build a small paper nest in which they lay eggs. They raise the first brood of workers single-handedly. Henceforth the workers take over caring for the larvae and queen, nest expansion, foraging for food, and colony defense. The queen remains in the nest, laying eggs. Later in the summer, males and queens are produced. They leave the parent colony to mate, after which the males quickly die, while fertilized queens seek protected places to overwinter. Parent colony workers dwindle, usually leaving the nest to die, as does the founding queen. In the spring, the cycle is repeated.
Yellowjackets have lance-like stingers with small barbs, and typically sting repeatedly. Their mouthparts are well-developed with strong mandibles for capturing and chewing insects, with probosces for sucking nectar, fruit, and other juices. Yellowjacket adults feed on foods rich in sugars and carbohydrates such as plant nectar and fruit. They also search for foods high in protein such as insects and fish. These are chewed and conditioned in preparation for larval consumption. The larvae secrete a sugary substance that is eaten by the adults.
The Western Yellowjackets typically build nests underground, often using abandoned rodent burrows. The nests are made from wood fiber that the wasps chew into a paper-like pulp. The nests are completely enclosed except for a small entrance at the bottom. The nests contain multiple, horizontal tiers of combs within. Larvae hang within the combs.

A blotch mine on a leaf of California Mugwort, Artemisia douglasiana has a hole on the upper surface. Has the leaf-miner larva left to pupate elsewhere?

A tiny fly is perched on a leaf of an adjacent Mugwort plant. I instantly recognize it as a Leaf-miner Fly (family Agromyzidae). iNaturalist has further identified it to the species Calycomyza lantanae (family Agromyzidae).
The Agromyzidae are a family commonly referred to as the Leaf-miner Flies, for the feeding habits of their larvae, most of which are leaf miners on various plants. They are small flies, most species in the range of 2-3 mm. Agromyzidae larvae are phytophagous, feeding as leaf miners, less frequently as stem miners or stem borers. A few live on developing seeds, or produce galls. There is a high degree of host specificity. A number of species attack plants of agricultural or ornamental value, so are considered pests. The shape of the mine is often characteristic of the species and therefore useful for identification. Adults occur in a variety of habitats, depending on the larval host plants.

Do you see a Dragonfly in this image? In decent focus, it is however hardly visible against the busy tangle of dried weeds. I have stopped to watch the black-and-yellow Dragonfly patrol up and down the trail in front of me, and was elated when it finally perched, albeit in less than ideal background for a photo. It is a Pacific Spiketail, Zoraena dorsalis (family Cordulegastridae).
Commonly called a “biddy”, the Pacific Spiketail is a huge, striking, fearless dragonfly. It is an agile predator of flying insects, including other dragonflies. The species is the only member of the family Cordulegastridae in California. Both sexes are similar in size (3+ inches long) and color pattern, but females can be distinguished by their impressive, spike-like ovipositor at the tip of the abdomen. Females rarely visit water except to breed and lay eggs. Oviposition is accomplished alone by hovering vertically over shallow water and repeatedly plunging the ovipositor into the muddy or sandy substrate. I can still clearly recall witnessing this remarkable behavior many years ago on a creek in Marin County.
