Pollinator Post 6/16/25 (2)


Very common on the Poison Hemlock flowers are these small, black, bristly flies. They are Woodlouse Flies, Stevenia deceptoria (family Rhinophoridae).

The Woodlouse Flies (family Rhinophoridae) are somewhat related to the Tachinidae. The larvae are mostly parasitoids of woodlice (pill bugs), beetles, spiders and other arthropods, and occasionally snails. Adult female deposits the eggs near woodlice. The first instar larva attaches itself to a passing woodlouse and enters the body of the freshly molted host. The larva feeds on the hemolymph and organs of the host until pupation, leading to the death of the host. Adult fly emerges from the pupa from inside the empty exoskeleton of the host. Adult Woodlouse Flies primarily feed on nectar and plant juices.

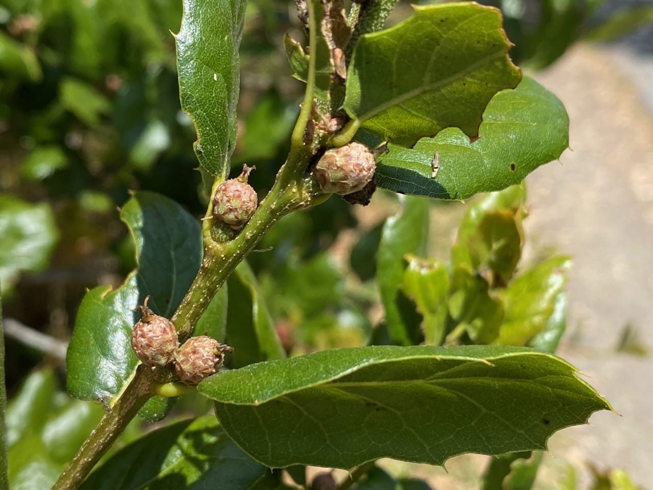
I check the low-hanging branches of this Coast Live Oak every time I walk this trail. I have been tracking the development of the acorns ever since they were mere tiny female flowers at the leaf axils.

How the acorns have grown!

A little bee peers from a Catsear flowerhead. That looks like the face of a Sweat Bee (family Halictidae).

As the bee takes off, I can see that it is a Tripartite Sweat Bee, Halictus tripartitus (family Halictidae).
Halictus is found worldwide; they are most common in the Northern Hemisphere. All are generalists, foraging from a wide variety of flowering plants. Many species are social and produce several generations per year. This is not surprising as most blooming plants are season-specific; a bee that requires pollen and nectar across multiple seasons would not thrive as a specialist. All Halictus in North America nest in the ground, often in aggregations; and they may nest in the same area for decades.

A little glossy black bee is foraging on a freshly opened Catsear flowerhead. It has all the appearance of a Small Carpenter Bee, Ceratina sp. (family Apidae).


The Small Carpenter Bee genus Ceratina is closely related to the more familiar, and much larger Carpenter Bees (genus Xylocopa). Ceratina are typically dark, shiny, even metallic bees, with fairly sparse body hairs and a weak scopa on the hind leg. The shield-shaped abdomen comes to a point at the tip. Some species have yellow markings, often on the face.
Females excavate nests with their mandibles in the pith of broken or burned plant twigs and stems. While many species are solitary, a number are subsocial. Both male and female carpenter bees overwinter as adults within their old nest tunnels, emerging in the spring to mate. In the spring, this resting place (hibernaculum) is modified into a brood nest by further excavation. The female collects pollen and nectar, places this mixture (called bee bread) inside the cavity, lays an egg on the provision, and then caps off the cell with chewed plant material. Several cells are constructed end to end in each plant stem.

A insect with a dark abdomen is foraging on a Catsear flowerhead. I do a double take to ascertain that it is indeed a Honey Bee, Apis mellifera (family Apidae). Around late summer through fall every year, I see these dark Honey Bees, and receive photos and inquiries from folks curious about this strange bee in their garden.

I find only confusing information about these dark honey bees online. One theory posits that the black coloration results from older bees having their hairs rubbed off from their abdomen by their hive mates. I can’t subscribe to that since the yellow color is part of the integument, and is not conferred by the abdominal hairs.
Another theory posits that these black bees are a subspecies, Apis mellifera mellifera, the so-called European Dark Bee, or the German Dark Bee. However, the subspecies is only found in one small region of the world, and not known to have been introduced to America. It’s also proposed that genetic mutation may cause a rare handful of bees to turn black, but this is very uncommon. Others think that the bee might have been infected with a virus that turns the bees black. This is typically why black bees are found dead in abandoned hives.
Most beekeepers know that there’s color variations in Honey Bees. A queen honey bee only mates over a few days early in her life. During these mating flights, she mates with 12-20 drones or males. These drone fathers come from many different colonies within the flight region. The queen bee has a spermatheca to store sperm and an enormous warehouse of eggs. Naturally, this results in a colony of worker bees that may be different colors. All colony members have the same mother but there are many different fathers that contributed to the genetic pool. Italian honey bees tend to be lighter in color with brighter yellow markings. The darker Carniolans are characterized by being winter hardy, quick spring build up and superior disease resistance. Russian honey bees also tend to be darker. If you see many darker bees, they are likely related to Russians or Carniolans.
Honey Bees do not change color during their lifetime. The color changes in the hive members are due to workers being born with different fathers. Are the Carniolan and Russian genes being expressed preferentially in the fall to enhance winter survival? Does this mean that the queen bee can exert control over which sperm she uses to fertilize her eggs? Anyway, genetic diversity is a good thing, conferring strength, flexibility and resilience to the colony.
None of the above theories explain why the black bees are more often found in late summer. One would think that the black coloration is not a good adaptation for the hot summer, as black would absorb more heat. The phenomenon remains a mystery to me.

A Spotted Cucumber Beetle, Diabrotica undecimpunctata (family Chrysomelidae) is feeding on pollen from the florets of a Catsear flowerhead.
Members of the family Chrysomelidae are commonly known as Leaf Beetles. Adults and larvae feed on all sorts of plant tissues, and all species are fully herbivorous. Many are serious pests of cultivated plants, including food crops. Others are beneficial due to their use in biocontrol of invasive weeds. Chrysomelids are popular among insect collectors, as many are conspicuously colored, typically in glossy yellow to red or metallic blue-green hues, and some have spectacularly bizarre shapes. Photos of Leaf Beetles (Family Chrysomelidae) · iNaturalist
Native to North America, the Spotted Cucumber Beetle can be a major agricultural pest, causing damage to crops in the larval as well as adult stages of their life cycle. Larvae, sometimes known as rootworms feed on the roots of emerging plants. In the adult stage the beetles cause damage by eating the flowers, leaves, stems and fruits of the plant.

A small bee is rummaging through a Catsear flowerhead, its body covered with pollen. The white stripes on its abdomen tells me that it is probably a Tripartite Sweat Bee, Halictus tripartitus (family Halictidae).

These ground-nesting Sweat Bees are the most commonly found in our area. The species is partially eusocial, with nests connected underground and some workers are capable of reproducing. These bees are generalist foragers, visiting flowers from a wide variety of plant families. Because of their dietary versatility, they can be seen through the seasons, from spring through fall.

A large butterfly flutters by, landing on a Blackberry thicket. It is a Pale Swallowtail, Papilio eurymedon (family Papilionidae).

Ooh, there’s a male Dimorphic Flower Longhorn Beetle, Anastrangalia laetifica (family Cerambycidae, subfamily Lepturinae) on that umbel of Poison Hemlock flowers.

The flower Longhorn Beetles are usually found on flowers where they feed on pollen and nectar, and are considered pollinators. They have a particular affinity for the umbel flowers of the carrot family, Apiaceae. Most species of Flower Longhorn Beetles have a narrow body and very long legs. They also share the family trait with other Cerambycids of having very long antennae. The beetles spend their larval days as borers, just like other Cerambycids. However they are not considered pests, as they select trees that are stressed, dying, or dead.
The term “dimorphic” in the common name refers to the obvious visual differences between the sexes. Females are considerably larger, with 4 black spots on the bright red elytra, while the males are black or brown.

Calm as a yogi in meditation, a Meadow Spittlebug or Meadow Frog Hopper, Philaenus spumarius (family Aphrophoridae) is resting on a young leaf of Coffeeberry, Frangula californica.
The Froghopper is a “true bug” in the order Hemiptera, family Aphrophoridae. Froghoppers are champion jumpers among insects, out-performing even the fleas. The bug can leap the human equivalent of a skyscraper without a running start! The muscles in its hind legs act like a “catapult” to release energy explosively. Its athletic prowess not withstanding, the Froghopper is better known for its young, the “spittle bugs”. The nymphs produce foamy white masses on plants within which they feed on plant sap. Froghoppers have piercing-sucking mouthparts, and feed on plant sap as both nymphs and adults. A recent report claims, “Froghoppers are the super-suckers of the animal world. The tiny insects produce negative pressures equivalent to people sucking a 100-meter-long straw.” So the little bug has two titles under its belt – champion jumper, and super-sucker!

I inch forward to get a close-up of the bug, expecting it to jump away any time. Fortunately, it doesn’t budge.
The common and widespread Meadow Spittlebug or Meadow Froghopper, Philaenus spumarius (family Aphrophoridae) is native to the Palearctic region, encompassing Europe, Asia north of the Himalayas, and North Africa. The species has been introduced to North America. It is a very eurytopic species, able to tolerate a wide range of environments and exist in many different habitats such as parks, meadows, gardens, etc. The adults reach a body length of 5-7 mm, with females slightly larger than the males. The most common mode of locomotion are running and flying, but the most striking is their strong jumping ability, which is useful for escaping from predators. When jumping, the hind leg tarsal spines and spine hairs are embedded into the substrate from which the insect is jumping, providing the purchase needed for the explosive leap. The larvae are well known for the self-generated foam nests which are commonly found during spring, protected from predators and desiccation. Froghoppers are polyphagous, feeding on a wide variety of plants, mainly grasses, reed plants, herbs and sometimes trees.
