Pollinator Post 3/30/24 (1)

It’s wonderful to be out at Skyline Gardens after a rainy day. Rain drops are still clinging to the Snowberry leaves near Siesta Gate. 
A few flower spikes of the Woodland Star, Lithophragma affine are poking out from the low vegetation on the wet banks, delicate while flowers on nodding racemes.
The five petals of Woodland Star, Lithophragma affine (family Saxifragaceae) are bright white with deep long lobes or teeth. There are ten stamens and three pistils in the cup-shaped calyx. A study by a UC Santa Cruz team has found a remarkable diversity in the scent compounds produced by the flowers. Every species of woodland star produces a unique floral bouquet to attract specialized pollinators. The plant has coevolved with a group of specialized moths in the genus Greya, that pollinate and lay eggs only in woodland star flowers. It is a sort of love-hate relationship. Although the plants lose some of their developing seeds to the moth larvae, the benefits the plants receive from pollination usually outweighs the costs.
Many of us are familiar with the story of the Yucca and the Yucca Moths, a much-celebrated mutualism between the plant and its pollinators. Well, like the Yucca Moths, the Greya moths that pollinate the Woodland Star are in the family Prodoxidae! In both cases, the moths visit the flowers to lay eggs, not to seek food. In the process of oviposition, their bodies come into contact with the pollen of the flower. The phenomenon is termed brood-site or nursery pollination. So tight is the mutualism that every species of Lithophragma is pollinated by its own species of Greya moth! The Woodland Star and the moths have shaped each other’s evolution.
As in most moths, the Greya moths are nocturnal and navigate their world predominantly by their sense of smell. White flowers show up well in the moonlight, and scents travel just as well in the dark.

A Hybotid Dance Fly (family Hybotidae) is hanging on a petal of the flower. Can the fly pollinate the flowers of Woodland Star too?
The fly, an avid seeker of pollen and nectar, is small enough to enter the calyx.

The Woolly Mule’s Ear, Wyethia helenioides is blooming in profusion along both sides of Skyline Trail.

Look, there’s a small fly in the middle of a fresh Mule’s Ear flowerhead, still wet with rain drops.
Wyethia belongs to the sunflower family, Asteraceae. In Asteraceae, what is commonly mistaken as a “flower” is in fact not a single flower, but an inflorescence of numerous flowers, packed in the center of the flowerhead or capitulum. The individual flowers or florets are star-shaped, and made of 5 fused petals. The flowers clustered in the middle are called disc flowers, while the ones on the rim are called ray flowers. The latter have an irregular corolla – tubular at the base but elongated on the outside into a generally flat projection, the ray, or ligule. The rays are the petal-like parts. The florets bloom from the rim towards the center of the flowerhead. Asteraceae
Flowers in the sunflower family have another unusual feature: secondary pollen presentation. Each individual flower is roughly tubular in shape, and, the anthers are tucked inside the tube facing the interior of the flower. Members of the sunflower family are protandrous, meaning the male parts mature before the female parts. The flower relies on the female parts to bring the pollen out of the floral tube and into the environment where the pollinators can access it. In many cases, the style acts like a tiny piston, literally pushing the pollen out into the world. After some time, the style splits at the tip and each side curls back on itself to reveal the stigmatic surface. Only at this point are the female parts of the flower mature and ready to receive pollen. With luck, much of the flower’s own pollen would have been collected and taken away to other plants by pollinators. Self-pollination is thus avoided.

Close by there’s a similar fly on a Woolly Mule’s Ear leaf. It is a Sunflower Seed Maggot Fly, Neotephritis finalis (family Tephritidae).
Commonly called Fruit Flies, Tephritids are small to medium-sized flies that are often colorful, and usually with picture wings. The larvae of almost all Tephritidae are phytophagous. Females deposit eggs in living, healthy plant tissues using their telescopic ovipositors. Here the larvae find their food upon emerging. The larvae develop in leaves, stems, flowers, seeds, fruits, and roots of the host plant, depending on the species. Adults are often found on the host plant and feeding on pollen, nectar, rotting plant debris, or honeydew. Tephritid flies are of major economic importance as they can cause damage to fruit and other plant crops. On the other hand, some Tephritids are used as agents of biological control of noxious weeds.
The Sunflower Seed Maggot is a sunflower specialist, found on over 20 species of Asteraceae. Larvae feed on immature seeds and pupate in flowerheads.

A side view of the fly tells me that it is a male. The sexes of the Tephritids are easy to tell apart – the females have a prominent, pointed oviscape on the tip of their abdomen through which the telescopic ovipositor is extended when laying eggs.

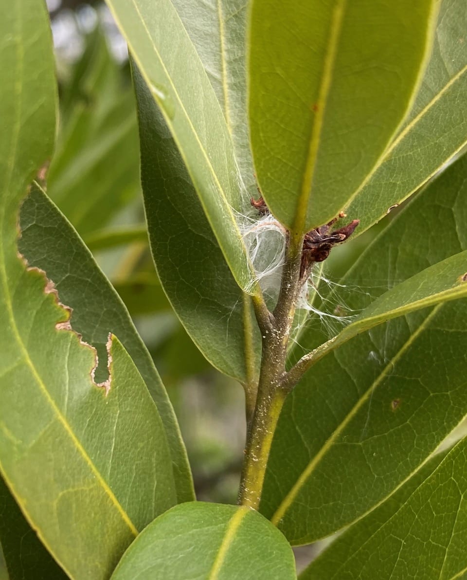
I pause at a California Bay Laurel, Umbellularia californica when I spot three small silk structures on the foliage, likely spider retreats. This one at the confluence of terminal leaves has a wide opening, but is vacant.

This one too looks abandoned.

Ah, this one looks like it is occupied…

I lightly lift the top leaf, and see the silhouette of a spider inside a silken retreat on the bottom, curled leaf.

It looks like a Jumping Spider, probably a young Red-backed Jumping Spider, Phidippus johnsoni (family Salticidae). Jumping spiders do not construct webs to trap prey; they are free-roaming hunters that pounce on their prey. But they do use silk to construct retreats for molting, and for housing their egg sacs.

There’s an animated scuffle on a leaf near me. A mating pair of Fungus Gnats (family Mycetophilidae) is being harassed by a second male trying to separate them. Wow, never thought I would see anything like this!
The Mycetophilidae are a family of small flies, often known by their common name of Fungus Gnats. They are generally found in the damp habitats favored by their host fungi and sometimes form dense swarms. The delicate-looking flies are similar in appearance to mosquitoes. Adults have slender legs with segmented antennae that are longer than their head. Adult fungus gnats do not damage plants or bite people. Larvae, however, when present in larger numbers, can damage roots and stunt plant growth. Females lay tiny eggs in soil or moist organic debris. Most of the fungus gnat’s life is spent as a larva and pupa in organic matter or soil. There may be many overlapping generations each year. They are most common during winter and spring in California when water is more available and cooler temperatures prevail.

A small spider is resting an upper leaf of a Stickly Monkeyflower, Diplacus aurantiacus.

It appears the spider has constructed a loose matrix of silk around itself.
iNaturalist has helped identify the spider as a Six-spotted Orbweaver, Araniella displicata (family Araneidae).
The Six-spotted Orbweaver is a small cucumber spider. It occurs throughout Europe and North America and in parts of Asia. It is found on trees and shrubs in woodland habitats. It is one of the most widely distributed arachnids in North America, but often overlooked due to its small size. Adult females measure only 4-8 mm in length, males 4-6 mm. The species is distinguished by three (sometimes four) pairs of black spots along the edges of the rear half of the abdomen. There’s quite a bit of color variation within the species.
Most orb weavers spin fairly large webs in proportion to their own body size, but not so with Araniella displicata. The web of an adult spider may be only three or four inches in diameter. The spiral snare is usually built well off the ground, and often oriented in the horizontal plane, frequently spanning the edges of a single large leaf. The spider sits in the center, hanging beneath a horizontal web. Adult Araniella displicata are often mistaken for “baby” orb weavers. In late May or early June mating takes place, and females produce egg sacs that contain 80 eggs and are covered in loose, fluffy, yellowish silk. The package may be deposited in a curled leaf that also serves as the mother’s retreat on the perimeter of the web.
Six-spotted Orbweaver (Araniella displicata) · iNaturalist United Kingdom

A small caterpillar on one of the California Goldenrod leaves riddled with feeding scars. I have previously thought these caterpillars were the Variable Checkerspot, but a behavior they exhibit today makes me think twice about that ID. A couple of times, as I close in with my camera, the caterpillar very quickly rolls into a ball, and springs off the leaf. What a startling behavior! I guess the caterpillar generated the forces it needed for escape by first contracting its muscles. I have never seen this behavior in the many larvae of the Variable Checkerspot I have photographed at close range.

These spiny caterpillars that feed on the California Goldenrod remain a mystery.

A tiny wasp, barely 3 mm in length, lands on a California Goldenrod leaf. From the size, I figure it must be a parasitoid.

From this single photo, a taxonomist of chalcid wasps on iNaturalist has helped identify our wasp as a member of the genus Tetramesa (family Eurytomidae).
The Eurytomidae are a family within the superfamily Chaldoidea. Unlike most chalcidoids, the larvae of many are phytophagous (feeding in stems, seeds, or galls), while others are more typical parasitoids, with hosts that are usually found within plant tissues. They are found throughout the world in virtually all habitats, and a few are considered pests. The wasps tend to be dull and not metallic, and heavily punctured, with very thick collar-like pronota.
The genus Tetramesa comprises phytophagous wasps. The wasps are generally species-specific gall inducers and can be used as biological control for invasive grasses. Adults feed on nectar.

An American Yellow Sac Spider is resting between the leaves of California Goldenrod, Solidago velutina.
The American Yellow Sac Spider, Cheiracanthium inclusum (family Cheiracanthiidae) are native to the New World. They are most often found in trees and shrubs in forests and gardens, but may also find shelter in houses and other human-made structures. The spider is a pale yellow-beige color with dark brown markings on its palps, chelicerae (jaws) and on the ends of its tarsi (feet). The front pair of legs are longer than the other 3 pairs. Eight similarly sized eyes are distributed in two parallel horizontal rows. Since the spider is nocturnal, its eyesight is of minor importance. The spider relies more on its palps to sense its environment. Being nocturnal, the spiders feed and mate at night. C. inclusum do not make webs to catch prey; instead, they are active predators, feeding on a variety of insects and other spiders. During the day, they retreat in small silk nests. A new nest may be completely closed, open on one side, or open on both sides, is built every day, often enclosed in terminal leaves that have been drawn together.

Uh oh, I better be careful! An adult male Pacific Coast Tick, Dermacentor occidentalis is questing next to me on a blade of grass.
Ticks pick a place to wait by identifying well-used paths, resting on the tips of grasses and shrubs. They find their hosts by detecting animals’ breath and body odors, or by sensing body heat, moisture, and vibrations. Some species can even recognize a shadow. Ticks can’t fly or jump, but many species wait in a search position known as “questing”. Holding onto leaves or grass by their third and fourth pair of legs, they hold the first pair of legs outstretched, waiting to climb on to a passing host. When a host brushes the spot where the tick is waiting, it quickly climbs aboard.

A view from Diablo Bend, with the top of Mt. Diablo shrouded in clouds. The vegetation looks lush and green, and the Silverleaf Lupine is blooming now that we finally have some sun after a very wet winter.

All the bees visiting the Silverleaf Lupine, Lupinus albifrons today are the Black-tailed Bumble Bees, Bombus melanopygus (family Apidae). It’s a joy to see the bright orange pollen they have in their pollen baskets. Here, a bee has just lifted off a flower after “tripping” it. See the dark tip of the keel protruding from between the striped wing petals? All the lower flowers on the spike has been tripped, many with their reproductive structures exposed. It’s a great day for bee and plant.

Another “tripped” lupine flower, and another happy bee!

A female March Fly, Bibio xanthopus (family Bibionidae) is resting among the leaves of Mugwort, Artemisia douglasiana.
March Flies (family Bibionidae) generally live in wooded areas and are often found on flowers – adults of some species feed on nectar, pollen, and honeydew, while adults of other species don’t feed at all; and in either case, they are very short-lived. They are considered important pollinators in orchards. They are also important food for other insects and spiders. The larvae feed en masse on rotting organic materials like leaves, wood, compost, and rich soil.

An American Winter Ant, Prenolepis imparis (family Formicidae) is foraging among the tiny flowers of Pacific Sanicle, Sanicula crassicaulis.
The American Ant, Prenolepis imparis is a widespread North American ant. A dominant woodland species, it is most active during cool weather, when most other ant species are less likely to forage. This species is one of a few native ants capable of tolerating competition with the invasive Argentine Ant, Linepithema humile. They are also aggressive toward other ants and produce abdominal secretions that are lethal to Argentine Ants. Prenolepis imparis is a generalist omnivore. Foragers are known for tending to aphids or scale insects from which they consume excreted honeydew, aggregating on rotting fruit, and exploiting protein-rich sources such as dead worms. The colony enters estivation (a hibernation-like state) and becomes inactive above ground for the warmer months, during which time eggs are laid and brood are reared. Reproductives overwinter and emerge on the first warm day of spring for their nuptial flight.
