Pollinator Post 10/8/23

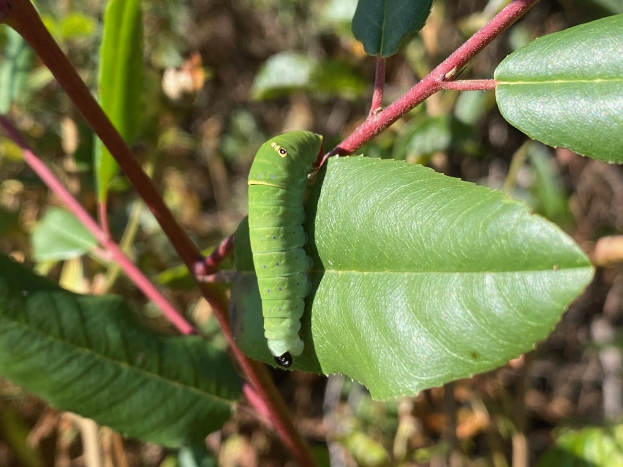
9:05 am. Uh oh, where’s B2? Staring at its silk pad on the Coffeeberry leaf I have a sinking feeling. B2, our Pale Swallowtail caterpillar is not mature enough to go off to pupate yet. Has it been nabbed by a predator? From my observation of the few caterpillars of this species so far, none of them has moved during the daylight hours. They always rest motionless on their home leaves.

I scan the nearby foliage, and spot this green caterpillar resting vertically across a leaf of a taller branch. My heart leaps with joy – is that B2? It’s been 4 days since I last saw it. It’s grown a little bigger and it has lost the white marking on its back. When did it move to this leaf? At night, or during the day when we were experiencing a heat wave? As these thoughts are racing through my mind, B2 proceeds to defecate, as if to reassure me that it is very much alive. Why is B2 resting in this vertical position? There does not seem to be much of a silk pad under the caterpillar. Is this only a temporary resting place? Is B2 holding on securely enough?

An hour and 10 minutes later, as I pass B2’s Coffeeberry, I glance over and see that B2 is still on the same leaf, but is now in total shade because the sun has shifted. It all makes sense now. B2 has found a spot where it can avoid the searing heat of direct sunlight. So it must’ve moved within the last 4 days during extreme heat while the sun was out. How else would B2 know what’s a shady spot? Awesome! It’s good to know that these critters are adaptable, able to change their behavior in response to environment challenges. Stay cool and hold on tight, B2. The worst of the heat wave is behind us!

A dark Honey Bee, Apis mellifera is taking nectar from the flowers of a female Coyote Brush.

Several small flies of the same species are visiting the Baccharis flowers. They don’t look very familiar, so I take as many pictures of random individuals as possible. Their appearance seems to vary quite a bit. Some, like this one, have orange-yellow markings on their abdomen, while others don’t. But they all seem to have those intricate line markings on their thorax. I am almost sure that they are Hover Fies (family Syrphidae).




There seem to be white markings on the abdominal segments under the wings of this individual.

iNaturalist has helped identify the insect. It is a Common Sickleleg, Asemosyrphus polygrammus (family Syrphidae).
Appropriately, Polygrammus means “marked with many lines”, probably referring to the patterns on the thorax. However, the name “common” does not ring true for me, as I have only seen this species at Skyline once before. Not much information is available about the species, except that the larvae are rat-tail maggots.
Rat-tail maggots are the larval stage of many species of hover fly (family Syrphidae) in the tribes Eristalini. The maggots are most commonly found in dank and decaying environments such as compost, pond margins, and tree rot holes. The larvae feed on the decomposing material which is poor in oxygen but rich in organic matter. The “tails” are the siphons or breathing tubes that extend from their rear end to enable the larvae to breathe while submerged in the wet substrate. When mature, the larvae climb out to pupate on dry land. The larvae are important decomposers/recyclers and the adult flies are important pollinators. What’s not to love about Syrphids?

A American Winter Ant, Prenolepis imparis (family Formicidae) is foraging on a female flowerhead of Coyote Brush. I am rather surprised to see it out and about on a hot day.
The American Winter Ant, Prenolepis imparis is a widespread North American ant. A dominant woodland species, it is most active during cool weather, when most other ant species are less likely to forage. This species is one of a few native ants capable of tolerating competition with the invasive Argentine Ant, Linepithema humile. They are also aggressive toward other ants and produce abdominal secretions that are lethal to Argentine Ants. Prenolepis imparis is a generalist omnivore. Foragers are known for tending to aphids or scale insects from which they consume excreted honeydew, aggregating on rotting fruit, and exploiting protein-rich sources such as dead worms. The colony enters estivation (a hibernation-like state) and becomes inactive above ground for the warmer months, during which time eggs are laid and brood are reared. Reproductives overwinter and emerge on the first warm day of spring for their nuptial flight.

A Woodlouse Fly, Stevenia deceptoria (family Rhinophoridae) is foraging on the female flowers of Coyote Brush. These small, slender, black, bristly flies are somewhat related to the Tachinidae. The larvae are mostly parasitoids of woodlice (pill bugs), beetles, spiders and other arthropods, and occasionally snails.
Native to Europe, Stevenia deceptoria is now widespread in the US. The flies are parasitoids of terrestrial woodlice (roly polies) of the order Isopoda (Oniscoidea).

Given its stubby short wings, I thought this was a nymphal grasshopper until iNaturalist identified it as a Scudder’s Short-winged Grasshopper, Melanoplus scudderi. It is a species of spur-throated grasshopper in the family Acrididae, native to North America. Mostly found late in season, into late fall. Wings are short, shorter than pronotum or slightly longer.
Melanoplus species eat grasses of all kinds, as well as leafy and grassy agricultural crops and garden plants. They feed on the leaves, and sometimes fruit, flowers, and buds, as well as tree bark.

In a messy orb web strung between Coyote Brush, a female Orb-weaver Spider, Araneus sp. (family Araneidae) has wrapped a prey in silk and is feeding on it.
The legs of orb-weaver spiders are specialized for spinning orb webs. The webs are built by larger females, which hang head down in the center of the web or remain hidden in nearby foliage, with one claw hooked to a signal line connected to the main orb, waiting for a disturbance to signal the arrival of prey. When a prey item is entangled in the web, the spider has to quickly locate and subdue it. The easiest way to immobilize it is to wrap it up in silk. When a spider bites its prey, it does so with a fang attached to a venom gland, and thereby injects it with venom. This both immobilizes the prey and initiates the process of digestion.
Wrapping by araneid spiders usually occurs at the feeding site – the hub of the web – if the items are small enough. They are pulled from the web at the point of capture and carried to the hub in the jaws of the spider, where they are wrapped up. Larger prey may be wrapped at the capture site (before or after biting), carried to the hub and rewrapped. On a good day, a busy spider may have several prey items wrapped and hung in its web for later consumption. Bon appetit!

A Leafhopper is resting on a cluster of Baccharis flower buds.
Leafhopper is the common name given to true bugs in the family Cicadellidae. The bugs are plant feeders that suck plant sap from grass, shrubs, or trees. Their hind legs are modified for jumping, and are covered with hairs that facilitate the spreading of a secretion over their bodies that act as a water repellent and carrier of pheromones. They undergo partial metamorphosis, and have various host associations, varying from very generalized to very specific.
While sucking the sap of plants, these insects excrete any extra sugar as a sticky liquid commonly called honeydew. This is a serious hazard for small insects, possibly sticking the insect to a leaf, or gluing its body parts together. Some bugs deal with this problem by shooting the waste away from their bodies at high speed. Leafhoppers have a unique solution – they make brochosomes, a proteinaceous material within a special gland in their guts, and secrete them by the billions in a milky anal fluid, and spread them over their bodies using their legs. When the fluid dries, the brochosomes form a powdery coating, and the leafhoppers spread them even further using comb-like hairs on their legs. The brochosomal coat is superhydrophobic, and acts as a water-repellent, non-stick coating protecting the leafhoppers from their own sticky exudates.

An Acmon Blue butterfly, Icaricia acmon (family Lycaenidae) was taking nectar from the flowers of California Goldenrod before perching on a Blackberry leaf. While it was flying, I could see that the upperside of its wings were blue – it is a male. Females have brownish upperwings. Acmon Blue is easily distinguished from the other “blues” by the red-orange band along the trailing edge of the hind wings.
Acmon Blue is a North American butterfly, found mostly in California. Adults feed on nectar while caterpillars feed on a variety of plant species, including buckwheats, deer weed, lupines, trefoils, and milkvetches. Like many Lycaenid butterflies, Acmon Blue shares a mutualistic relationship with ants. The larvae are often protected and kept in the ant nest when not feeding. In return, they provide honeydew to the ants.
